Albany NY Realtors: Property Lines, Surveys & Easements
Few topics create more anxiety for Upstate New York homeowners than boundary questions: Where does my land actually begin and end? Can my neighbor use my driveway? Do I need a new survey to sell? These are practical, local questions with real financial impact. The good news: with the right steps and local expertise, boundary issues are completely manageable—and often preventable.
Whether you own a historic home in Center Square, a suburban lot in Guilderland, or acreage in Knox, understanding property lines, surveys, and easements will help you avoid costly surprises and protect your equity. If you’re just starting to think about selling or planning improvements, a quick conversation with Anthony Gucciardo can clarify your next move and connect you with trusted local surveyors, attorneys, and title pros.
Below, you’ll find plain-English explanations, Albany-area specifics, checklists, and visuals to help you resolve boundary questions before they become disputes—so your sale closes smoothly and your projects stay on schedule.
What Are Property Lines—and Why They Matter in Albany and Upstate NY
Property lines (also called boundaries) define the legal limits of your ownership. They’re set by recorded deeds and plats, and clarified by professional surveys. In Albany County and across Upstate NY, clear property lines matter because they:
- Protect your right to use and enjoy your land (and restrict others from encroaching).
- Determine where you can place fences, additions, sheds, pools, and driveways under local setback rules.
- Prevent future disputes with neighbors about trees, retaining walls, and shared features.
- Reduce title risk and improve buyer confidence at closing.
- Support accurate tax assessments and avoid double-tax issues on overlapping features.
Albany-area neighborhoods often mix older plats with newer infill lots. That means visible features like fences, hedgerows, or stone walls may not sit on the true line. Don’t rely on “what looks right” or what the last owner told you. When in doubt, verify.
What Is a Property Survey—and When Do You Need One?

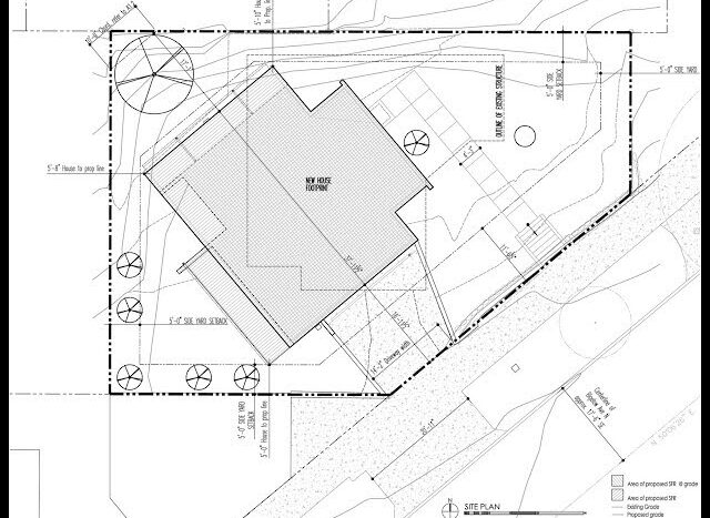
A property survey is a professional measurement of land performed by a licensed land surveyor. It identifies your boundary lines and can show improvements (house, garage, deck), encroachments, easements, and topography—depending on the survey type.
Common moments when an Upstate NY homeowner needs a survey
- Buying or selling: To identify boundary lines, encroachments, and easements that may affect title and value.
- Refinancing: Some lenders accept older surveys; others require updated information.
- Building or adding: Fences, pools, additions, sheds, and driveways often require surveyed setbacks and pin locations.
- Resolving disputes: If a neighbor’s fence, retaining wall, or driveway crosses the line.
- Subdividing or lot line adjustments: To create new legal descriptions and plats for recording.
- Elevations and flood insurance: For properties near rivers, streams, and low-lying areas.
In fast-moving markets, a current survey can be the difference between a confident buyer and a delayed closing. It’s also a helpful pre-listing step that strengthens your disclosure and reduces renegotiations.
Types of Land Surveys (What They Include and When They’re Used)
| Survey Type | What It Includes | Typical Use | Ordered By | Approx. Turnaround |
|---|---|---|---|---|
| Boundary Survey | Precise boundary lines, corners (pins), encroachments, fences, improvements near lines. | Buying/selling, fence placement, resolving line questions. | Buyer, seller, or attorney/title company. | 1–4 weeks (season and backlog dependent). |
| Mortgage/Location Survey | Illustrative drawing showing house relative to apparent boundaries; less precise. | Lender/Title review; not suitable for construction or dispute resolution. | Lender/title company (often bundled). | 1–2 weeks. |
| ALTA/NSPS Survey | Highly detailed; boundaries, improvements, utilities, easements per title commitment. | Commercial and complex residential transactions. | Buyer or lender. | 3–8+ weeks. |
| Topographic Survey | Contours, elevations, drainage features. | Designing additions, grading, drainage solutions. | Owner, builder, engineer. | 2–6 weeks. |
| Subdivision/Plat Survey | Creates new lots; monuments lines; prepares recordable plat. | Splitting land or consolidating lots. | Owner/developer (with municipal approvals). | 6–12+ weeks (approval timelines vary). |
| Construction Staking | Stakes exact location for structures, utilities, roads per plans. | Building additions, new homes, retaining walls. | Builder/contractor. | Project-based. |
| Elevation Certificate | Official elevation data for flood insurance rating. | Insurance, FEMA compliance. | Owner/lender/insurer. | 1–3 weeks. |
Tip: A “location” or “mortgage” survey is not a substitute for a boundary survey when you’re building, moving a fence, or arguing a line. If accuracy matters, request a boundary survey.
What Are Easements? The Most Common Types in Albany & Upstate NY
An easement is a legal right to use another person’s land for a specific purpose. Easements “run with the land,” meaning they typically remain in place through future sales. They’re often recorded with the county clerk and described in the deed or title commitment.
| Easement Type | Who Benefits | How It’s Created | Transfers with Property? | Common Examples (Albany Area) |
|---|---|---|---|---|
| Appurtenant | Neighboring parcel (dominant estate) | Deed/recorded agreement or plat | Yes, runs with land | Shared driveway across one lot to access another; private road use. |
| In Gross | Person or company (not a parcel) | Deed/recorded agreement | Usually yes (assignable depending on terms) | Utility lines for electric, gas, cable; municipal sewer access. |
| By Necessity | Landlocked owner | Established by law/court when necessary | Yes | Historic parcels without road frontage gaining driveway access. |
| Prescriptive | User who meets strict legal criteria | Long, open, continuous use without permission (legal standards apply) | Case-by-case | Informal use of a path or driveway over many years. |
| Conservation/Drainage | Public or land trust/municipality | Recorded grant or plat | Yes | Stormwater swales, protected wetlands, or stream buffers. |
Most easements are not a problem—when you know they exist. The trouble starts when owners build in an easement (e.g., a shed over a utility easement) or block access others are legally entitled to use. Read your title commitment, and confirm easements on a survey before you plan improvements.
How to Check Your Property Boundaries (Step-by-Step)

Quick checklist for Albany and Upstate NY homeowners
- Locate your deed and any prior surveys. Look for metes and bounds descriptions, lot/section numbers, and recorded plats.
- Walk your property lines. Note existing fence lines, walls, hedges, pins/monuments, and any features near the line.
- Compare visible features to documents. Mismatches are a sign you should order a current boundary survey.
- Review your title report/commitment for easements. Keep a list of book/page references and plat numbers.
- If you plan to build or fence, stake the line with a surveyor. Do not guess setbacks. Obtain permits as required by your municipality.
- Discuss potential issues with your neighbor early. A friendly chat with facts in hand avoids conflict later.
- If there’s disagreement, pause major work. Contact a surveyor and, if needed, a real estate attorney before escalating.
Infographic: The Fast Path to a Clear Boundary
1) Gather documents: deed, prior survey, title report
2) Field check: look for pins, fences, walls near lines
3) Order boundary survey if anything looks off
4) Review easements & setbacks before building
5) Resolve concerns early with neighbor + pros
Albany NY Realtors: Your Local Guide to Boundaries
Real estate is local. Deeds, plats, and easement habits vary from the City of Albany to suburban towns like Colonie and Bethlehem, and further out to rural properties with private roads and historic stone walls. Experienced local guidance helps you spot risks early, coordinate the right survey, and set buyer expectations before they walk away over uncertainty.
If you’re planning to sell, consider reviewing this pre-listing resource to reduce surprises: Avoid These 10 Costly Pitfalls: Your Guide from an Upstate NY Real Estate Agent. Getting ahead of boundary clarity is one of the smartest moves on that list.
What Causes Boundary Disputes—and How to Avoid Them
Most disputes start small: a fence installed a foot over the line, a driveway that’s been shared informally for years, or a tree whose trunk spans the boundary. In Upstate NY, common triggers include:
- Assuming old fences or walls are “on the line” (they often aren’t).
- Building without staking lines or checking easements first.
- Relying on outdated or informal sketches instead of a boundary survey.
- Shared driveways or private roads with no written maintenance agreement.
- Drainage or retaining wall changes that alter runoff across property lines.
- Longtime, unchallenged use of a portion of land (a risk for prescriptive rights).
How to stay out of trouble
- Order a boundary survey when buying, selling, or building near a line.
- Get written permission for temporary uses of another’s land—don’t rely on verbal agreements.
- Record any new access or maintenance agreements so they run with the land.
- Confirm setbacks and easements before placing fences, sheds, or pools.
- Address conflicts early and in writing; stop work until resolved.
- Consult a real estate attorney for persistent or high-stakes disagreements.
Boundary-related filings and inquiries
While year-to-year volumes vary, periods of rapid home improvements and hot markets tend to see more boundary questions and filings. The simple chart below illustrates a typical pattern many local professionals observe over time.
Do You Need a New Survey When Selling or Buying a Home?
Short answer: Often yes, or at least you need a recent boundary survey you can rely on. Older surveys may be fine if:
- No material changes occurred (no new fences, additions, or neighboring construction near lines).
- The survey is clear, legible, and references current deed descriptions.
- Title and lender accept it—and it answers known questions about easements and encroachments.
But if anything has changed—or the buyer, title, or lender requests it—order a new boundary survey. It’s a fraction of the cost of a dispute and can save a deal.
Best practices for sellers
- Pull your most recent survey early and share it with your listing agent.
- Note any discrepancies (e.g., a fence that doesn’t align) and decide whether to fix, disclose, or credit the buyer.
- Address shared driveways or private roads with written agreements for access and maintenance.
- Confirm that sheds, decks, and pools comply with setbacks and don’t sit in easements.
- Consider a fresh boundary survey to reduce re-trades and speed closing.
Best practices for buyers
- Ask for a boundary survey during attorney review or inspection periods.
- Have your attorney review title commitments for easements and exceptions.
- Walk the property with the survey in hand; ask the surveyor to set corner pins if missing.
- Clarify who owns and maintains any shared driveways, retaining walls, or fences.
- Top albany ny realtors often encourage buyers to budget for a boundary survey on older or complex lots.
When to Call a Real Estate Attorney or Surveyor
Bring in a licensed land surveyor when lines are unclear, improvements are near a boundary, or a neighbor disputes the location of a fence or driveway. Call a real estate attorney when:
- There’s a recorded easement you don’t fully understand, or you need to create one.
- You suspect a prescriptive claim or adverse possession may be alleged.
- A neighbor won’t cooperate and work needs to pause pending resolution.
- You need to draft or record a maintenance agreement for a shared feature.
In New York, legal standards around use, consent, and timeframes can be nuanced. A quick consult is far cheaper than litigation.
How a Top Albany Agent Helps You Navigate Boundaries and Property Disputes
A seasoned local agent coordinates the right professionals at the right time and anticipates boundary questions that most buyers will ask. With a proactive plan, you can avoid surprises and keep your timeline intact:
- Pre-listing risk check: Review prior surveys, easements, and visible features near lines.
- Vendor coordination: Connect you with trusted surveyors, attorneys, and title officers.
- Disclosure strategy: Decide what to repair, clarify, or disclose to protect value.
- Negotiation support: If a minor encroachment appears, structure credits or terms to keep the deal together.
- Marketing clarity: Use accurate boundary data to confidently present lot features, trails, and outdoor living spaces.
If you’re curious how a strong marketing plan supports a smooth sale, explore these 2025 real estate lead generation strategies—a helpful window into how buyers find and evaluate listings in the Capital Region.
Local Nuances Albany and Upstate NY Homeowners Should Know
- Historic boundaries: Older neighborhoods and rural parcels can reference stone walls or trees as markers; modern surveys reconcile these with recorded deeds.
- Setbacks vary: City of Albany, Colonie, Bethlehem, and other municipalities have different setback rules—confirm before building.
- Private roads: Many rural properties use private drives; verify access rights and maintenance agreements.
- Drainage easements: Don’t block swales or drainage paths with sheds or fences; maintenance may be required.
- Pools and fences: These trigger permits and inspections; survey stakes prevent costly relocations.
- Winter impacts: Snow plow piles and seasonal parking can creep over lines—avoid habitual use that invites conflict.
Frequently Asked Questions
1) Are old fences considered the true property line?
No. A fence is a visible improvement, not a legal boundary. Only a survey establishes the true line. If a fence is off, you can often correct or agree on a solution; talk to your neighbor and a surveyor first.
2) Do easements reduce property value?
It depends on the easement’s location and restrictions. Routine utilities usually have minimal impact. An easement that limits building area or controls access can affect value. Buyers and attorneys evaluate these during due diligence.
3) Can I build a shed or pool over a utility easement?
Generally no. Utility holders often need clear access. If you build over an easement, you may be required to remove the improvement at your expense. Always confirm easements and setbacks before installing.
4) Do I need a new survey to sell my house?
Not always, but it’s often wise. If the existing survey is old, illegible, or the property changed (new fences, additions), a fresh boundary survey can avoid delays and renegotiations, and strengthen buyer confidence.
5) What is a prescriptive easement and should I worry about it?
It’s a potential right to use part of land based on long, open, continuous use without permission, under specific legal standards. If you suspect this may be an issue, stop any conflicting work and consult a real estate attorney.
6) Who pays for the survey—the buyer or the seller?
It’s negotiable. In many Albany-area deals, buyers order and pay for the survey they want, but sellers sometimes provide or update a survey pre-listing to streamline the sale.
7) My neighbor’s driveway crosses my land. What should I do?
Check your deed and title for an easement. If none exists, consider a written, recorded agreement to define use and maintenance—or work with an attorney to resolve access appropriately.
Conclusion: Clear Boundaries, Confident Decisions
Property lines, easements, and surveys don’t have to be confusing. With a current boundary survey, smart disclosures, and the right local team, you can prevent most issues before they surface—protecting your time, budget, and negotiation leverage. If you’d like a quick, friendly review of your situation or help connecting with a trusted surveyor or attorney, reach out to Anthony Gucciardo for local, practical guidance that keeps your goals front and center.
Disclaimer: This article is for general informational purposes only and is not legal advice. Always consult a licensed surveyor or real estate attorney for your specific situation.



